Service Guide

Get Ants Extermination Service

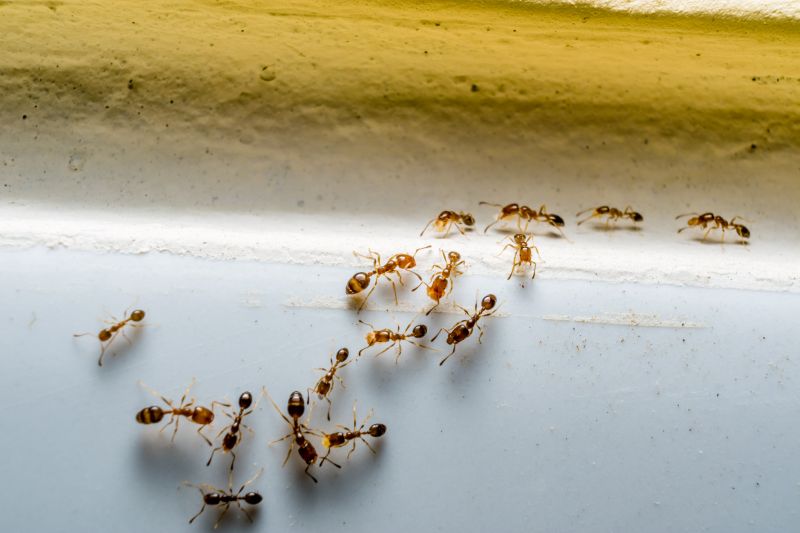
Local contractors offer ant extermination services to eliminate infestations and protect homes from damage caused by ants.

Ants Extermination Services are a practical solution for property owners dealing with persistent ant issues. Whether preparing for a renovation, protecting food storage areas, or maintaining a comfortable living environment, addressing ant infestations promptly can prevent further problems. Local contractors specializing in pest control offer tailored approaches to effectively manage these pests, helping to safeguard both residential and commercial properties.

Exploring options for ant extermination involves comparing the services available from trusted local providers. Property owners can consider the methods and expertise offered by nearby service professionals to find the best approach for their specific needs. Continuing to read can provide valuable insights into how local contractors can assist in creating a pest-free space and support ongoing property maintenance efforts.

Get Ants Extermination Service Quotes

  • Ants Extermination - needed when ants invade kitchens or other indoor spaces.
  • Ants Prevention - required to stop future ant problems after initial removal.
  • Ants Inspection - essential for identifying ant entry points and nesting areas.
  • Ants Barrier Treatment - used to create a protective barrier around property to deter ants.
  • Ants Removal for Commercial Properties - necessary when ants threaten business environments or food establishments.
Ants Extermination Service
Ants Extermination Service
Ants Extermination Service

Ants extermination services involve targeted treatments designed to eliminate ant colonies and prevent future invasions. These services typically include identifying the species of ants present, locating the nest sites, and applying effective solutions such as baiting or residual insecticides. The goal is to reduce or remove the ant population from residential or commercial properties, creating a safer and more comfortable environment. Professional contractors use proven techniques to ensure that the infestation is thoroughly addressed, helping homeowners regain control over their living spaces.

Ant problems often stem from outdoor environments, such as gardens, lawns, or cracks in the foundation, where ants establish their nests. Once inside, they can quickly become a nuisance, contaminating food, invading kitchens, or building colonies in hidden areas. Ants can also cause structural damage if they nest within walls or woodwork. Extermination services help resolve these issues by targeting the source of the problem, reducing the likelihood of recurring infestations, and maintaining a pest-free property.

Properties that typically seek ant extermination services include single-family homes, apartment complexes, and small businesses. Homes with visible ant trails, mounds around the yard, or frequent sightings indoors are common candidates for treatment. Commercial properties such as restaurants, grocery stores, or food production facilities may also require professional pest control to meet health standards and prevent contamination. These services are suitable for any property where ants have become a persistent problem or where preventative measures are desired to keep pests at bay.

Homeowners often turn to ant extermination services when traditional methods like DIY sprays or traps prove ineffective. Recognizing signs such as sudden increases in ant activity, unexplained trails, or visible nests can indicate the need for professional intervention. Service providers can assess the extent of the infestation, recommend appropriate treatment options, and help ensure that the property remains ant-free. Connecting with local contractors can provide effective solutions tailored to the specific needs of each property, helping to restore comfort and peace of mind.

The overview below groups typical Ants Extermination Service projects into broad ranges so you can see how smaller, mid-sized, and larger jobs often compare in your area.

In many markets, a large share of routine jobs stays in the lower and middle ranges, while only a smaller percentage of projects moves into the highest bands when the work is more complex or site conditions are harder than average.

Basic Ant Control - Typical costs for routine ant extermination services range from $250 to $600 for many smaller jobs, such as single-room treatments or small infestations. These projects usually fall within the middle of the cost spectrum, depending on the size of the area and the severity of the ant problem.

Localized infestations - For specific areas like kitchens or entry points, local contractors often charge between $150 and $400. Many projects in this range involve targeted treatments that are less extensive but still effective at eliminating ants.

Large or Severe Infestations - Larger, more complex ant extermination projects can cost between $600 and $1,200, especially when multiple areas or ongoing treatments are needed. Fewer projects reach this tier, but they are common in extensive or persistent ant problems.

Full Property Treatments - Complete property extermination services, including perimeter barriers and multiple treatments, typically range from $1,200 to $5,000 or more. Larger, more comprehensive projects are less common but necessary for severe or widespread infestations.

Actual totals will depend on details like access to the work area, the scope of the project, and the materials selected, so use these as general starting points rather than exact figures.

Get a Quote

Pest Control for Cockroaches - professionals use similar inspection and treatment techniques to identify and eliminate pest infestations in homes and businesses.

Termite Treatment Services - local contractors apply comparable planning and chemical application methods to prevent and eradicate termite colonies.

Rodent Extermination - specialists utilize trap placement and exclusion strategies similar to ant control to manage rodent populations effectively.

Bed Bug Removal - service providers employ detailed inspection and targeted treatment plans akin to ant extermination procedures.

Spider Control Services - experts implement inspection and pest management techniques comparable to those used in ant control efforts.

Bee and Wasp Removal - local contractors plan and execute safe removal and exclusion strategies similar to ant extermination services.

Ants Extermination Service

When comparing service providers for ant extermination, it’s important to consider their experience with similar projects. Homeowners should look for local contractors who have a proven track record in handling ant control in residential settings. An experienced professional will be familiar with common ant species in the area and understand the most effective methods for eliminating them. This knowledge can contribute to a more efficient and thorough treatment, reducing the likelihood of recurring issues.

Clear written expectations are essential when evaluating local pros. Homeowners should seek providers who can offer detailed descriptions of their services, including the scope of work, treatment methods, and any necessary follow-up. Having this information in writing helps ensure that both parties are aligned on what will be done, which can prevent misunderstandings and provide clarity throughout the process. Transparent communication about procedures and what homeowners can expect is a key factor in choosing a reputable service provider.

Reputable references and good communication are also vital in selecting a local contractor for ant extermination. Homeowners are encouraged to ask for references or reviews from previous clients to gain insight into the quality of work and reliability of the provider. Additionally, effective communication-such as prompt responses to inquiries and willingness to answer questions-can indicate a professional approach. While the site introduces homeowners to local options, it’s important to remember that the actual work is performed by independent service providers who can be contacted directly to discuss their experience, references, and communication practices.

Get an Ants Extermination Service Quote

Property owners use Ants Extermination Service services for practical projects around their homes and businesses. This guide focuses on everyday jobs and straightforward project options.

Ants Extermination Service
Ants Extermination Service

Ants can quickly become a common nuisance for property owners dealing with unwanted pests in their homes or businesses. Whether ants are invading kitchens, pantry areas, or outdoor spaces, many people seek professional assistance to effectively manage and eliminate these persistent insects. Local contractors specializing in ant extermination are equipped to handle various situations, from small infestations to more widespread colonies that threaten comfort and cleanliness.

Property owners often turn to local service providers when ants disrupt daily routines or compromise the condition of their property. Common reasons for seeking professional help include preventing damage to structures, avoiding contamination of food supplies, and maintaining a hygienic environment. These service providers can assess the situation, identify the ant species involved, and implement targeted treatments to restore pest-free living or working spaces.

Get an Ants Extermination Service Quote

How do ants typically enter homes? Ants often find entry points through cracks, gaps around windows and doors, or openings around utility lines. Identifying and sealing these access points can help prevent invasions.

What methods do local contractors use to eliminate ants? Service providers may use baiting, residual sprays, or barrier treatments to target ants and disrupt their colonies effectively.

Are ant extermination treatments safe for pets and children? Many local pros use treatments designed to minimize risks, but it is advisable to discuss any concerns directly with the service provider before treatment.

How can I prevent future ant problems after treatment? Keeping the property clean, removing food sources, and sealing entry points can help reduce the likelihood of ants returning.

What types of ants are commonly treated by local contractors? Commonly treated ants include odorous house ants, carpenter ants, and pavement ants, among others, depending on the infestation.

Ants Prevention Tips - Property owners can learn practical strategies to reduce ant attractants around their homes, such as sealing entry points and managing food sources.

Ants Inspection Services - Homeowners can schedule inspections to identify ant activity early and determine the most effective treatment options with local contractors.

Ants Extermination Solutions - Residents can explore professional extermination methods to eliminate existing ant infestations and protect their property.

Ongoing Pest Monitoring - Property owners can set up regular monitoring plans through local service providers to prevent future ant problems.

Ants Extermination Service

If you are thinking about Ants Extermination Service for a property, this guide is meant to help you understand the work, the typical project types, and how different options might fit your plans.

When you are ready, you can use the quote form on this page to share a few details about your project. From there, local pros can review the basics and respond with options that match what you have in mind.

Get a Quote

Ants Extermination Quotes

Our Trusted Partners
Cantu Pest Control
Kilter Termite and Pest Control
Greenix Pest Control